Capacita BIM PR: Operação de Aeronaves Remotamente Pilotadas 30/05/2023 - 11:30
No período de 22 a 26 de maio foi realizado mais um módulo do Capacita BIM PR, curso destinado à capacitação de servidores públicos em BIM promovido pelo Governo do Estado do Paraná e que integra as ações de aceleração digital da Estratégia BIM PR, instituída pelo Decreto Estadual nº 3080/2019.
O Módulo 4, "Operação de Aeronaves Remotamente Pilotadas" é o resultado do trabalho do GTEC BIM PR e da parceria entre a Escola de Gestão, a Secretaria de Estado de Infraestrutura e Logística (SEIL) e a Universidade Estadual de Londrina (UEL), que também foi responsável por sediar o treinamento, que ocorreu na cidade de Londrina.
O principal objetivo dessa etapa foi capacitar os servidores públicos que atuam nas áreas de Arquitetura, Engenharia e Construção, proporcionando-lhes conhecimentos necessários para a operação de aeronaves remotamente pilotadas e o processamento de dados, uma vez que os produtos resultantes do aerolevantamento fornecem informações precisas e de maneira otimizada que permitem uma compreensão mais detalhada de uma área, edificação, terreno e respectivas interferências. Integrando esses dados com a metodologia BIM (Modelagem da Informação da Construção) é possível aprimorar, entre outros, os processos de elaboração de estudos, projetos, planejamento e gerenciamento de empreendimento públicos.
As aulas foram ministradas pelo professor Dr. Pedro Guglielmi Junior, servidor da Secretaria de Estado da Agricultura e Abastecimento e instrutor experiente, que apresentou aos alunos os principais conceitos, legislação pertinente e possíveis aplicações práticas de aerolevantamentos para o setor público.
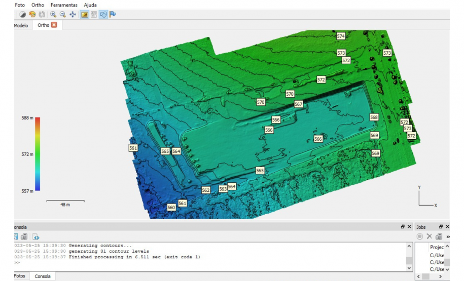
Durante o treinamento os servidores realizaram dois levantamentos utilizando uma aeronave modelo DJI Mavic 2: o primeiro de uma obra no Campus da UEL e o segundo de um terreno que está em fase de movimentação de terra. Em ambos os casos, os alunos acompanharam o processo de solicitação de autorização para a realização do voo junto aos órgãos competentes, a elaboração do Plano de Voo no Aplicativo Drone Deploy, e tiveram a oportunidade de processar os dados utilizando os softwares Agisoft Metashape e ArcGIS (ambos em versão de teste de 21 dias) a fim de obter os seguintes produtos: Ortomosaico, Nuvem de Pontos, Modelo Digital de Elevação (DEM), Levantamento Planialtimétrico e Relatório de Qualidade do Processamento.
Durante a execução do segundo levantamento foram utilizados pontos de controle e os sistemas RTK (Real Time Kinematic) e PPK (Post Processed Kinematic), que permitem a correção dos erros de posicionamento geográfico gerados pelo GPS. De acordo com o Relatório de Qualidade do Processamento gerado ao final do exercício o levantamento atingiu uma precisão de 2cm, considerada excelente para este tipo de levantamento.
Os servidores participaram ativamente do treinamento e tiveram a oportunidade de explorar diversas possibilidades do aerolevantamento e adquirir conhecimentos práticos aplicáveis às suas áreas de atuação. Essa experiência ampliou as perspectivas em relação à aplicabilidade e possibilidade de usos de aeronaves remotamente pilotadas no setor público, destacando o potencial dessas tecnologias para a Arquitetura, Engenharia e Construção Civil.
O Módulo 4, que conta com certificação pela Escola de Gestão, está previsto para outras regiões do Estado a partir do 2º semestre, conforme demanda e disponibilidade.
































